$1,600,000
10195 WILLIAMS ROAD, Fairfield Island
Chilliwack, British Columbia, V2P5H3
About This Property
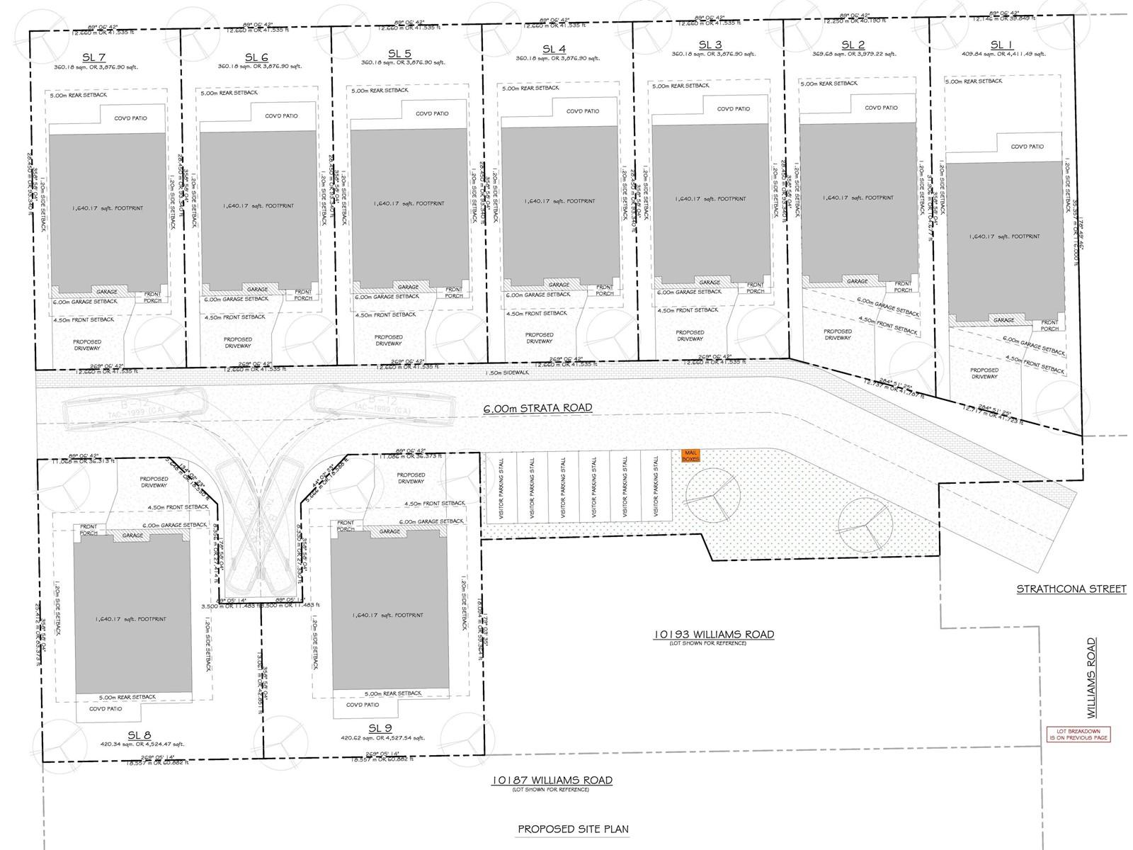
A rare development opportunity in one of Chilliwack's most desirable family neighbourhoods! To be sold in conjunction with 10195 Williams Road, two properties totalling 1.1 acre. Both homes currently tenanted and producing rental income. Rezoning approved with City of Chilliwack for development of 9 single family homes. Just minutes to Chilliwack's District 1881 and all amenities you may need. Don't miss out! (id:64938)
Quick Info
MLS#
C8068771
Days on Market
322
Listed On
Apr 30, 2025

Aman Nanda
Personal Real Estate Corporation
Property Details
Architecture
Property Features
Mortgage Calculator
5-Year FixedYour monthly payment
$6,714

Aman Nanda
DLC AIMI Collective Mortgage Group
Whether you're a first-time buyer or refinancing, I'll help you find the right mortgage — straightforward advice, no pressure.
Rates are for guidance only, not guaranteed, and not an approval of credit. Speak with a Mortgage Professional for the most accurate information.
Not sure what you can afford?
Find out in under 2 minutes — no credit check, no commitment. See your estimated approval amount and monthly payment instantly.

Schedule a viewing
No obligation or purchase necessary, cancel at any time.
Listing Office
Listing provided courtesy of Advantage Property Management

Aman Nanda
Personal Real Estate Corporation





